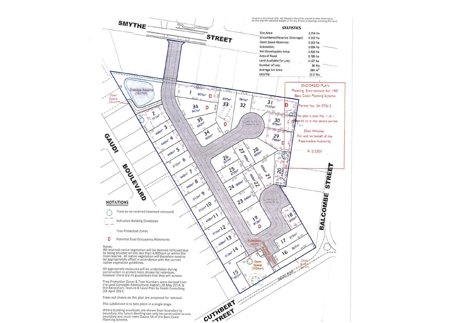
BAYSIDE ESTATE CORINELLA - CONSTRUCTION HAS BEGUN!!!

LAST 2 BLOCKS FOR SALE IN THIS NEW ESTATE NEAR WATER.

UNTITLED LAND DUE TO TITLE AROUND MARCH/APRIL 2022

10% DEPOSIT - UNCONDITIONAL CONTRACT

BALANCE AT SETTLEMENT

You may also view this property on www.yourlandshop.com.au

Disclaimer - We have obtained all information in this document from sources we believe to be reliable. However, we cannot guarantee its accuracy. Prospective purchasers are advised to carry out their own investigations. www.1stre.com.au

515 m2
Address Lot 17, 61 Smythe Street, Corinella
Price SOLD
Property Type Residential
Property ID 2396
Category Vacant Land
Land Area 515 m2

Agent Details

Faye Bennett photo

Faye Bennett

0409 803 605
View Profile