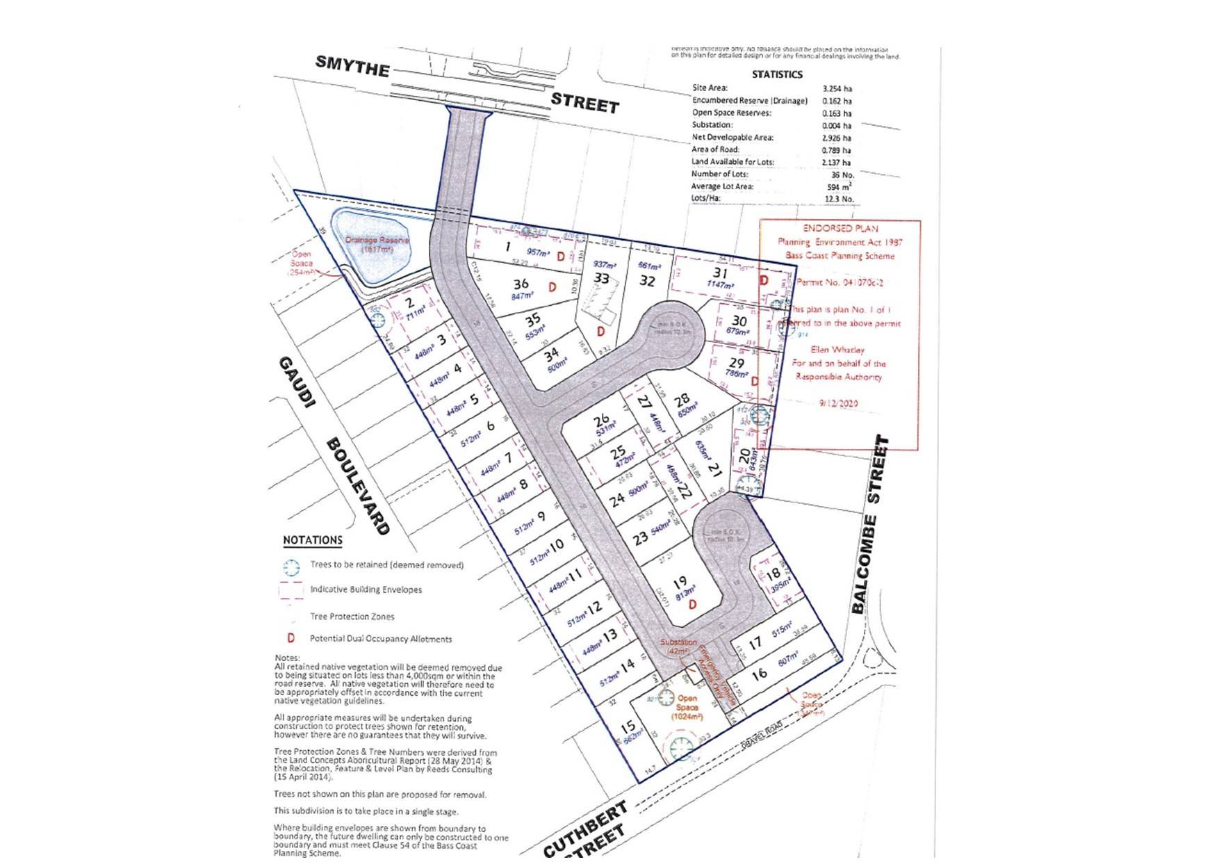
BAYSIDE ESTATE - CORINELLA

NEW 8 BLOCK LAND RELEASE NEAR WATER

UNTITLED LAND DUE TO TITLE AROUND NOVEMBER 2021

10% DEPOSIT - UNCONDITIONAL CONTRACT

SETTLEMENT AROUND NOVEMBER 2021

You may also view this property on www.yourlandshop.com.au

Disclaimer - We have obtained all information in this document from sources we believe to be reliable. However, we cannot guarantee its accuracy. Prospective purchasers are advised to carry out their own investigations. www.1stre.com.au

662 m2
Address Lot 15, 61 Smythe Street, Corinella
Price SOLD
Property Type Residential
Property ID 2308
Category Vacant Land
Land Area 662 m2

Agent Details

Faye Bennett photo

Faye Bennett

0409 803 605
View Profile